Shell scraps two UK offshore wind projects
Oil giant Shell has abandoned two Scottish offshore wind projects ‘after a comprehensive review’ of its power strategy ’on leveraging Shell’s strengths in trading and retailing’.
Damen acquires UK-based I.M.E Group
Damen has acquired Southampton-based I.M.E Group Ltd., following close collaboration between the two parties since the opening of Damen Services’ UK Service Hub.
Building skills for the future of clean maritime
The Maritime Future Fuels Training Plan project aims to close a vital skills gap and prepare the maritime workforce for a clean fuel future.
Eighteenth subsidiary will deliver deeper market understanding
Smart power control solutions and services provider, ComAp, has launched its newest subsidiary, ComAp Control Indonesia, in Jakarta.
Seawork debut
FISH Marine Design and Venture Maritime are to make their Seawork debut in 2026.
New helm takes the helm at Helm
Helm Operations has announced changes to its leadership team as its first employee, and most recent CEO, becomes Chairman.
Container spill prompts new VTS area in Netherlands
The loss of up to 350 containers from the MSC Zoe in 2019 has prompted the Dutch Rijkwaterstaat to implement a new Vessel Traffic Services (VTS) area to provide guidance to captains.
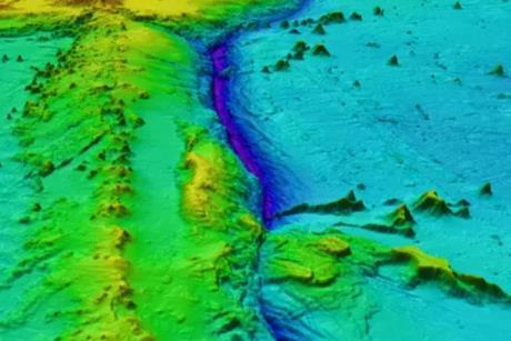
Raymarine backs global seabed mapping drive
Raymarine has joined forces with the Seabed 2030 project to advance seabed mapping and support safer vessel navigation
Shell scraps two UK offshore wind projects
Oil giant Shell has abandoned two Scottish offshore wind projects ‘after a comprehensive review’ of its power strategy ’on leveraging Shell’s strengths in trading and retailing’.
Van Oord expands coastal protection portfolio
Van Oord has agreed to buy a business that makes interlocking concrete armour units for protecting shorelines, ports and marine infrastructure.



























































